Die Schule Merlischachen hat Eltern und Erziehungsberechtigte mit einer offiziellen Mitteilung zur „Verkehrssicherheit beim Schulhaus“ informiert. Darin wird auf die Situation im Bereich der Baustelle Burgweg hingewiesen. Die Mitteilung soll zur Orientierung beitragen und Eltern wie Kinder sensibilisieren.
Offizielle Mitteilung der Schule Merlischachen

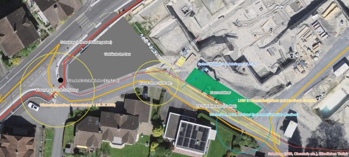
Die Schule schreibt, dass Kinder im Bereich der „Baustelle Burgweg“ darauf hingewiesen werden sollen, „mit dem Fahrrad abzusteigen und dieses über den Fussgängerstreifen zu schieben, um die Sicherheit aller zu gewährleisten.“
Weiter hält die Schule fest, dass „Baustellenfahrzeuge beim Vorwärts- bzw. Rückwärtsfahren in Richtung Luzernerstrasse“ nach Möglichkeit begleitet würden. Zudem sei „eine Person des Verkehrsdienstes (VD) vor Ort“, wobei gleichzeitig erwähnt wird, dass „ein fixer Standort jedoch nicht definiert“ sei.
Wichtige Information, aber auch ein klares Warnsignal
Dass die Schule die Eltern informiert, ist richtig und notwendig. Gleichzeitig zeigt die Mitteilung, dass die Situation beim Schulweg im Bereich Burgweg alles andere als gewöhnlich ist. Wenn wegen einer Baustelle besondere Verhaltensanweisungen nötig werden, dann ist klar, dass dort ein erhöhtes Risiko besteht.
Die Probleme sind seit Längerem bekannt
Die Schwierigkeiten rund um die Baustelle Burgmatt sind nicht neu. Sicherheitsfragen, Baustellenverkehr und unübersichtliche Situationen im Bereich des Schulwegs beschäftigen Anwohner und Familien seit längerer Zeit (siehe Bericht). Umso stossender ist es, wenn erneut vor allem Eltern und Kinder zu besonderer Vorsicht angehalten werden, statt dass die Baustellenorganisation die Risiken konsequent beseitigt.
Kritischer Vorfall Anfang Februar
Hinzu kommt ein besonders kritischer Vorfall Anfang Februar. Ein Betonmischer fuhr beim Fussgängerstreifen am Burgweg rückwärts knapp an drei Kindern vorbei in Richtung Kantonsstrasse. Dabei war keine Sicherheitsperson und keine begleitende Person vor Ort. Das ist ein schwerwiegendes Sicherheitsproblem an einem Schulweg.
Die Verantwortung liegt bei der Mobimo AG
Die Schule erfüllt mit ihrer Mitteilung ihre Aufgabe. Sie informiert und sensibilisiert. Die eigentliche Verantwortung bleibt jedoch bei der Mobimo AG als Bauherrin und bei den von ihr beauftragten Unternehmen. Wer direkt an einem Schulweg baut, muss den Verkehr so organisieren, dass gefährliche Situationen gar nicht erst entstehen.
Die Schule informiert zu Recht über die Schulwegsicherheit. Doch genau diese Mitteilung zeigt auch, dass die Probleme rund um die Baustelle Burgmatt weiterhin bestehen. Die Verantwortung dafür liegt nicht bei den Kindern, sondern bei der Mobimo AG und den Verantwortlichen der Baustelle.


